Q.美白有効成分とはなんですか?
A.メラニンの生成を抑え、シミ・そばかすを防ぐ働きが認められている成分です
日本で効果が認められている美白有効成分は、ビタミンC誘導体、トラネキサム酸、コウジ酸、4MSK、ナイアシンアミドなど20種以上。「メラニンの排出を促したり、炎症を抑えたり、メラニン産生の引き金となるメラノサイトの刺激を抑えるなど、成分によってアプローチは異なるので、自分の肌悩みに合った成分を選ぶことが大切です」
Q.美白ケアをしているのに、くすみやすいのはどうしてですか?

A.摩擦による炎症や血行不良、高GI(血糖値が上がりやすい)食品などが原因かもしれません
「摩擦は、角層を傷つけ、くすみを悪化させる原因になるため要注意。摩擦を避けたスキンケアのほか、入浴やマッサージで血行を促しましょう。また、ブロッコリーやほうれん草などの低GI食品(血糖値を上げにくい食品)を意識して摂り、糖化による黄ぐすみも防ぎましょう」
Q.60代から急にシミが増えるのはどうしてですか?
A.肌の奥に蓄積されたシミ予備軍が、年齢とともに表面に現れるため、急に増えたように感じることがあります
今日浴びた紫外線が明日シミになるわけではありません。「長年の紫外線ダメージや炎症によって増えたメラニンが、加齢でターンオーバーが遅くなることで肌の中に積もりに積もっています。そのシミ予備軍が時間差で表面化してシミに。だから、いま目に見えなくても美白ケアが必要なのです」
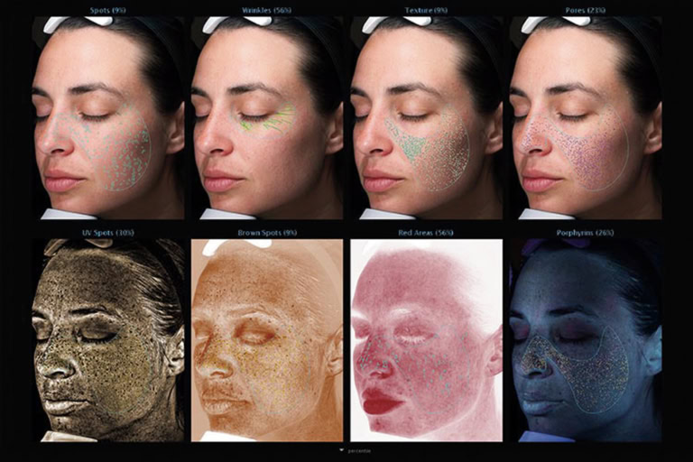
VISIAでシミ予備軍をチェック

肌の中にどれくらいメラニンが蓄積しているかを可視化できる肌診断機・VISIA。溜まったメラニンは、放置すれば将来シミになる予備軍です。美白ケアを続けるとメラニン量が減るので、定期的にチェックするとモチベーションも上がります。
Q.レーザーでシミを取ったら、美白ケアは不要ですか?

A.レーザー後こそ、日々の美白ケアが不可欠です
美容医療なら簡単にシミが消える、というのは誤解です。「シミが分厚くなりがちな素敵世代は1回で取りきれない場合も多く、レーザーの出力を上げると炎症性色素沈着のリスクも。レーザー後はアフターケア次第で結果が変わります。日焼け止めと保湿を徹底し、シミの再発を防ぐために美白のセルフケアも欠かせません」
イラスト/八朔モモ 文/片岡えり
※素敵なあの人2026年5月号「くすまない! シミを作らない! 老化させない! 素敵世代の美白宣言2026」より
※掲載中の情報は誌面掲載時のものです。商品は販売終了している場合があります。
※画像・文章の無断転載はご遠慮ください
- 1
- 2





