メルマガ

年を重ねて似合うもの 60代からの大人の装い 素敵なあの人Web

公開日:

【60代透明肌】透き通った明るい肌を目指したい人必見!美白の疑問に皮膚科医が答えます!

シミケアだけでなく、くすみケアや角質ケアなど、複数のケアを組み合わせたものです

シミケアだけでなく、くすみケアや角質ケアなど、複数のケアを組み合わせたものです

「紫外線防御」と「保湿」を徹底することが大前提です

「紫外線防御」と「保湿」を徹底することが大前提です

摩擦による炎症や血行不良、高GI(血糖値が上がりやすい)食品などが原因かもしれません

摩擦による炎症や血行不良、高GI(血糖値が上がりやすい)食品などが原因かもしれません

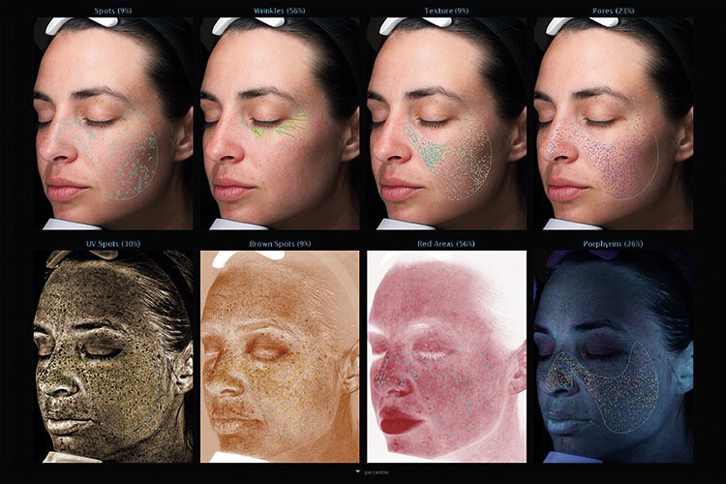
VISIAでシミ予備軍をチェック

VISIAでシミ予備軍をチェック

レーザー後こそ、日々の美白ケアが不可欠です

レーザー後こそ、日々の美白ケアが不可欠です

記事に戻る

この記事の画像一覧

  • シミケアだけでなく、くすみケアや角質ケアなど、複数のケアを組み合わせたものです
  • 「紫外線防御」と「保湿」を徹底することが大前提です
  • 摩擦による炎症や血行不良、高GI(血糖値が上がりやすい)食品などが原因かもしれません
  • VISIAでシミ予備軍をチェック
  • レーザー後こそ、日々の美白ケアが不可欠です

記事に戻る

記事をシェア

  • X
  • facebook
  • line

アイコン画像メルマガ